|
![]()
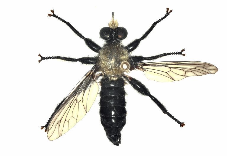
An adult Laphria. Fly is about an inch long. The hairy black and yellow robber flies of the genus Laphria are an insect collectors dream. The adults are large, fast, and fun to capture. They are also some of the showiest North American flies. The genus was described by Meigen in 1803, based on a European type, and is now considered to be Holarctic in distribution. Thirty described species or subspecies are found in North America, all north of Mexico. There are also several undescribed species in the United States. The North American members of the genus are peculiar because most of the adults superficially resemble bumble bees, and even sound the same when flying. Furthermore, many of the larger species regularly include bumble bees as part of their diet.
Speaking of prey, in this genus the laterally-flattened mouthparts characteristic of all Laphriini have an obvious function: they allow the flies to slip their proboscis in between the elytra of flying beetles before these elytra can be closed. The fly can thus deliver a "knockout" bite to quiet the struggling, heavily armored beetle. Such large adult beetles as buprestids (jewl beetles) form a major portion of Laphria diet.
![]()
Nor are Laphria limited to catching and subduing large prey. I have seen bumble bee sized flies take and consume comparatively minute prey--small chironomids or midges to be exact. The Laphria I watched accomplished this feat by grabbing the prey with their forelegs--or at least using these to push it into position for killing, once it had been taken. If you take one of these flies and look closely at the anterioventral surface of one of the front tibiae, you will find a long, dense brush of short, fine hairs. When the leg is folded, this brush fits tightly against the anterioventral side of the corresponding femur. I am not sure, but I believe the flies I watched manipulated the chironomids by holding them between the opposing brushes (it happened very quickly, just after the flies landed). The robber flies killed the tiny prey by inserting the tip of the extruded hypophyarnx, and then they sucked it dry. This tip is sharp and needlelike, and much smaller than the proboscis which sheathes it.
![]()
The North American species of Laphria s. str., that is," in the strict sense," which is how the name is used on these pages, can be divided into two subgroups--namely, 1) L. saffrana, which forms a subgroup by itself, and 2) those species that were once placed in the genus Bombomima. The former species is a fairly peculair wasp mimic found in the southeastern states. It differs from all other North American Laphria s. str. in having the hairs of the body closely appressed to the suface, and on the abdominal segments sometimes arranged in whorls around small pits, an arrangment seen commonly in various Choerades. It also exhibits the very un-laphriine like habit of occasionally landing in short grass. Other Laphriini hunt from a variety of surfaces, including the boles of trees, the tops of bleached logs, the upper surfaces of broad leaves, and even from ferns. But never in the open in short grass.
![]()
![]() As their names might suggest, many of the flies that were once assigned to Bombomima look like bumble bees, as shown in the photo directly above; although some, as the Laphria flavicollis pictured in the photo directly below, are both smaller and more slender, and resemble Bombus less than perhaps they do some other, smaller bees. The range of the flies once assigned to Bombomima is practically co-terminous with forest. Because of their bee-like appearance, some of the species were originally erroneously thought to belong to the genus Dasyllis. Dasyllis is now known to be exclusively Neotropical, and has been assigned to another tribe altogether, the Andrenosomini. ![]()
![]()
Outline drawing of the male terminalia of Laphria gibbosa (Linnaeus). This European species is the designated "type" of the genus, that is, the standard to which all the other species are compared. The view is from the left side, meaning the posterior end of both the fly and its terminalia is on the right. Roman numerals refer to abdominal sternites (the bottom part of a segment), arabic numerals to tergites (the top part of a segment). There are two gonopods, one one each side of the fly. Each is sudivided into three parts, the basistylus (bs), the dististylus (hidden behind the shelf of the basistylus), and the mesal process (mp). Only the basistylus and its mesal process are labelled here. The large shelf of the basistylus (s) is characteristic of this genus. The 9th terghite or epandrium (ep) and ventral lamellae (vl) are also labelled. Note that 1) the 9th and succeeding segments of the abdomen are rotated 180 degrees, that is, flipped upside down, and 2) there is no 9th sternite. This arrangement is characteristic of Laphriini in general. The twisting of the abdomen is is responsible for the reduction of the eight segment, which when everything is retracted, is normally hidden from view. As I mentioned, Laphria s. str. is Holarctic in distribution. In addition to being found across North America, they occur from the Bristish Isles, across Europe and Asia, to Japan. Many of the Palearctic species also look somewhat like bumble bees, but others present a more wasp-like aspect. Both L. saffrana the North American Bombomima types are united with these European Laphria in having a peculiar type of gonopod, or "clasper." There are two of these gonopods, and what makes them unique is the large shelf-like flange that covers each side, and forms what amounts to a box around the aedeagus (see drawing above, and photo below). This extreme development of a flange is not found in any of the other genera. In the North American species the posterior margins of the flanges are often very irregular in outline, or "notched."
![]()
Just what function this unusual arrangement of the gonopods may serve is unclear. But during capture of prey the abdomen is often doubled foward under the fly. It is not too much of a leap to assume that 1) the irregularity of the posterior margin of the shelf may facilitate the manipulation of struggling prey, and 2) the "box" formed by the shelves of the basistyli may protect the the sclerites actually used in copulation, that is, the aedeagus, mesal processes, and dististyli, from consequent damage. This may shed some light on the question of "why" Laphria are so speciose. The Russian worker Paul Lehr, for example, has made clear in a number of papers that he believes Laphria, and the Laphriinae in general, to be among the more primitive robber flies, because, among other things, they are large and individualistic flies that are limited to forest regions. Although I do not agree with Lehr's conclusions, at least regarding Laphria s. str., I can see many of his points. In any event, Lehr himself admitted that he could not explain how such primitive asilids could be so successful in relation to most of their more advanced relatives, and no one else had ever been able to provide an answer either. But their advantages should be clear. A large, bumble bee sized Laphria s. str. is capable of attacking and subduing a much larger variety of prey than almost any other type of robber fly. On the one hand, the unique construction of the stout proboscis, and the possible use of the abdomen as an additional restraining device, allows the fly to attack very large prey, including stinging Hymemoptera and heavily armored beetles. On the other hand, probably using the brushes on the fore-tibiae, a Laphria can catch and manipulate prey whose bulk might only amount to a thousandst part of its own. It is this versatility that explains the success of the genus. While we are on this subject of diversity, I may as well point out that, of all the genera in the Laphrini, Laphria s. str. exhibits the widest range of size. The adults of several species are only 10-11 mm long, whereas L. lata can reach lengths of 39 mm (see photograph below). This ability of the Laphria "design" to work over such a wide range of size has undoubtedly also contributed to the large number of species; for the most part differently-sized flies would take different prey, allowing for their co-existence. For example, there is probably very little overlap in the prey taken by the two species shown below.
![]()
The largest compared with the one of the smallest species of North American Laphria s. str.. A large specimen of Laphria lata Macquart is on the left. A small specimen of L. flavicollis Say, on the right. Of all the North American Laphriini, Laphria s. str. exhibits the widest range of size. Getting back to taxonomy, it is worth noting that both North American groups also share another character, that is lacking in the type and perhaps in the majority of European species. Namely, as Frank M. Hull first pointed out in his Robber Flies of the World (vol. 1, p. 319), the "metanotal callosity" (a.k.a. the "anatergite" in current terminology, see drawing below for position on thorax of fly) of the North American species bears either hairs or bristles. This is true even for L. saffrana. These bristles are also conspicuously present in one of the new genera, but they are lacking in the other and for all practical purposes in North American Choerades (an adventitious long hair can occasionally be found in some species, and a short thin vestitutre in others). At the time Hull thought that the species in Choerades and in the two new genera were included in "Laphria." He thus erroneously concluded that the character was of little value in separating Bombomima from the group. Nevertheless he retained its separate generic rank. In contrast, I believe the character is probably valid, but I do not believe it merits setting the North American species apart from their European cousins. I think genera should be based upon derived or "apomorphic" characters of terminalic structure. The male terminalia of Laphria s. str., Choerades, and the two new groups I will be describing as genera all differ substantially from one another. Further, each genus exhibits several strongly-marked apomorphic characters, which are easily visible even in unprepared specimens. The shelf that characterizes Laphria s. str. is an example.
![]()
Head, thorax, and first abdominal segment of a laphriine fly, left lateral view. The wings have been clipped off, and the legs except for the bases or coxae have been removed. The sclerite shaded in red forms a strap-like collar that runs across the back of the thorax , more or less connecting the two halteres. This sclerite consists of a central mediotergite, which is completely fused on each side with an anatergite. Although there is no suture demarcating the limits of the two sclerites, the anatergites can be considered to be the lateral, somewhat raised portions of the complex. In North American Laphria s. str. these anatergites bear hairs and/or bristles. According to Hull these hairs are absent in European Laphria.
But this character homogeneity does suggest the radiation of species within North America has been a relatively recent event, geologically speaking. The Bombomima subgroup in particular shows every evidence of being in the full flower of its evolution. The species are distinguished more by differences in size and color pattern than by obvious differences in external terminalia. Furthermore, many of the species are quite variable in color. This variability makes identification difficult. The two listings at the bottom of this page attempt to give a few characters for all of the species in both subgroups and what little information on their habits that is known.
![]()
This specimen is a good example of the difficulty identifying specimens of Laphria s. str., especially from photographs. This particular photo was taken by Walter P. Gould off the Skyline Drive in Shenandoah National Park, Madison Co., VA on July 12, 2009. Although you would be hard put to take a better shot, you cannot see the hairs on the scutellum, and you are left guessing as to the color of those at the sides of the first abdominal segment. On top of that, even allowing that you could see everything, the particular combination of characters exhibited by the specimen doesn't exactly fit in anywhere. So it cannot be identified reliably. A word here is in order on the synopses and keys, of which there are two sets, one for the eastern and one for the western species. The dividing line between east and west is considered to be at about the 100th meridian, running up the middle of the Great Plains. Using this somewhat arbitrary criterion, two of the eastern species are also found in western Canada. These species have been included in the keys and treatments for both areas. As for the keys themselves, wherever possible I have used "plain English" instead of esoteric terms. For example, I use the phrase "tufts of hair in front of the wings" instead of the tounge-twister "hairlike-setae on mesothoracic anepisternum." The first is unambiguous and can be understood by an 8-year old. Even most professional Dipterists would have to look the latter up in a dictionary. A caveat. Of the four groups of species I initially looked at for my Ph.D. dissertation I know least about this one (see "How These Pages Came to Be" for background info). Unlike the other groups, I never actually did a revision. Meaning that I never removed the male and female genitalia, made slides of the various sclerites, or made any but a few drawings. Nor did I record the label data for thousands of specimens. So just because I have presented some photos, and tentatively identified them with a name, does not mean that the association is written in stone. I can be wrong. To make it possible for you to judge for yourself, I have linked the synopsis for each species to a transcript of the original description. And, lest I should be accused in this case of foisting incomplete work upon the public, I need only say that the overview presented here, in spite of its obvious limitations, is more complete by far than anything ever in print. And hopefully as time progresses it will become much better. I would also like to say something about the photographs, or rather, the scans made from them. These vary greatly in quality. The poorer ones were scanned several years ago, when I was just beginning to learn how to use my slide scanner and the associated software. The better ones were scanned later when I knew more. I plan to replace the poorer scans with new ones catch-as-catch-can, and perhaps even all of them eventually.
|










